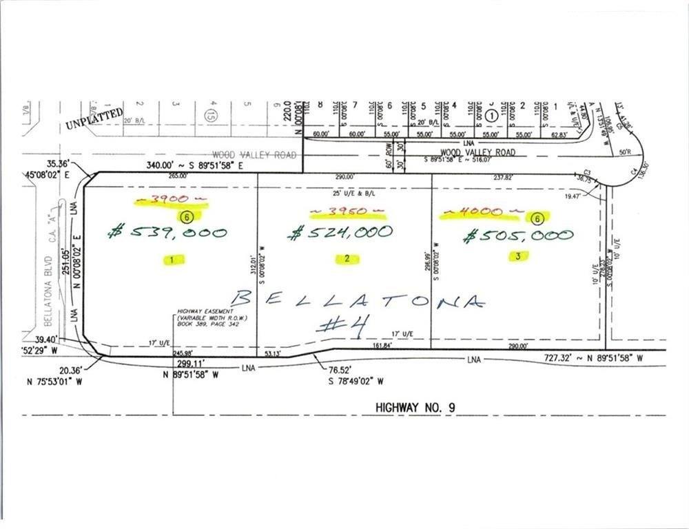
3900 Wood Valley Road Norman, OK 73026

Other MLS #: 1068512 Courtesy Of Dillard Cies Real Estate

Property InformationDescription

Zoning is C-1, commercial and isto be final platted by the City of Normanin the summer of 2023. City water and sewer and other public utilities are available. Great location along Highway 9 just east of the Postal Training Center with high traffic count and visibility along State Highway 9 and easy access. To the north, east and west there are large residential developments. Seller would cooperate with subdividing for potential buyers and accommodate existing site plans, specific acreage or layout requirements. Lot is on the corner of Wood Valley Road, Bellatona Blvd and Highway 9 is to the south.
MORTGAGE CALCULATOR

Features

  • Age: 1-5 Years Old
  • Architecture Style: Other
  • MLSID: 1068512

MAP & DIRECTIONS

Get Directions
3900 Wood Valley Road, Norman, OK 73026
View Directions
Copyright © 2025 MLSOK, Inc. All rights reserved. All information provided by the listing agent/broker is deemed reliable but is not guaranteed and should be independently verified. Information being provided is for consumers' personal, non-commercial use and may not be used for any purpose other than to identify prospective properties consumers may be interested in purchasing.